西班牙的葡萄酒同時和法國或是意大利的葡萄酒都屬于傳統世界精選葡萄酒的行列。大約兩千年前從羅馬帝國統治伊比利亞半島時期,西班牙就開始釀制葡萄酒。
西班牙葡萄酒簡介
西班牙的葡萄酒同時和法國或是意大利的葡萄酒都屬于傳統世界精選葡萄酒的行列。大約兩千年前從羅馬帝國統治伊比利亞半島時期,西班牙就開始釀制葡萄酒,當裝酒的細頸瓶把這種西班牙的良釀傳送到了整個帝國的疆土。當今世界中西班牙是擁有葡萄種植面積最多的國度。它的產量在意大利和法國之后占世界第三位。
西班牙葡萄酒的特點
西班牙的葡萄酒是世界上獨一無二的,因為只使用西班牙本土的品種。由于它的多樣性,我們無法描述其統一的特點。每個省區的氣候,土壤和其自有的葡萄品種,賦予它特有的品質。西班牙擁有潮濕或是干旱的地區,山區或是平原,內陸或是海岸??偟膩碚f無可置疑的是,所有釀制的方法還是依據傳統方法而進行的。
西班牙葡萄酒的規則
這是一個非常規范的行業,并且每一個產區都擁有其監督管理委員會,他們的職責是監督其所屬酒廠。有70個指定產酒區和兩個分級評定的指定產區。 用術語根據葡萄酒陳放的時間來表述為:年輕的酒(無桶陳放),中等藏酒(陳放兩年),陳釀(三年),特級陳釀(五年)。每一個指定產區決定他們成酒的部分多少時間在橡木桶中和在酒瓶中。
在西班牙葡萄酒分級中,D.O級別葡萄酒相當于法國波爾多AOC!
西班牙葡萄酒產區介紹—卡斯蒂利亞-拉曼恰產區(Castilla la Mancha )
拉曼恰的葡萄酒以其最高的性價比而舉世聞名。該區是種植葡萄的理想之地,不僅每公頃的產量不是很高,而且質量上乘。此外,由于光照時間長和極好的成熟周期,這里的葡萄藤特別健康。
拉曼恰也是世界上最大的葡萄酒產區,生產面積約30萬公頃的葡萄園,其中僅有大約16.5萬公頃可生產有“法定產區”的葡萄酒。它在歐洲是其中最受歡迎的法定產區。
葡萄酒風味
拉曼恰葡萄酒以單品種的紅葡萄酒和白葡萄酒突出,其口感真實、果香味郁,表達出葡萄的原始味道。
丹魄(Tempranillo)
丹魄是西班牙當之無愧的紅葡萄品種之王,用該品種釀制的葡萄酒性價比很高,并可與多種食物輕松搭配,風味獨特。
丹魄葡萄具明顯酸味,不過,丹魄葡萄酒可不是什么除了果味再無特色的“水果炸彈”,因為它們往往口感辛辣,帶有皮革、煙草和濕潤泥土的香味。也有濃重香草、茴香和黑胡椒風味。西拉(Syrah)
西拉的顏色深,果實大顆而多肉,因此釀出的酒色、單寧和口感都相當厚重。西拉葡萄帶有各種深色水果的風味,比如藍莓、黑橄欖等。用西拉釀成的酒擁有豐沛而濃郁的風味,余味中夾帶著一縷胡椒的辛辣氣息。
酒莊介紹(WHO WE ARE)
Exotic Winds 不僅僅是一家酒莊,它更是承載著整個家族的情感,熱情及奉獻精神將夢想照進現實的家族企業。坐落于西班牙卡斯蒂亞拉曼恰自治區的雷阿爾城,我們的酒莊采用最傳統的釀制工藝盡可能的保持葡萄品種的原始味道以及突出當地土壤的特點。我們的葡萄酒口感極其柔和,圓潤、飽滿的酒體帶著濃郁的果香味,可以滿足高級愛好者最挑剔的味蕾。
我們的農場擁有超過500公頃的土地,它由一道亮麗的風景葡萄園及周圍谷物覆蓋。中間斜躺的小河在夏季扮演者最好的溫度調節計角色并使得葡萄園形成了其特有的動植物生態系統。
Exotic Winds 是秉承保護環境的典范酒莊,在其建設和運營的各方面都周密的考慮到了自然環境的特點。我們日復一日的辛勤勞動就是力爭將堂吉訶德這片魅力土地生產出的每一支葡萄酒傳播到世界各地。
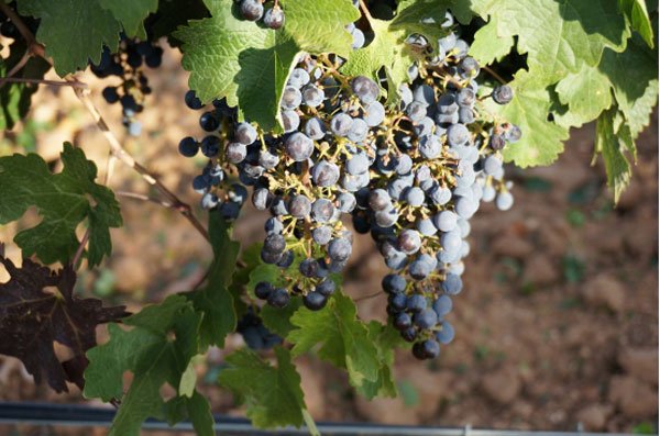
葡萄莊園(vineyard)
機械收割(Mechanical harvesting)
Exotic Winds酒莊通過機械方式收割大部分的葡萄園,而位于坡地及部分特殊品種葡萄園則使用人工采摘方式。采摘后的葡萄經過篩選、破皮后,會進入具有溫控功能(維持攝氏26-30度)的發酵罐中進行發酵。發酵得來的葡萄酒再進入30%至60%新的法國橡木桶中熟成12個月,再以白雞蛋進行黏合過濾,最后在酒莊內裝瓶。
釀酒廠(Brewery)
釀酒廠就在500公頃的葡萄園中間,葡萄運到釀酒廠不必在炎熱天氣里長途跋涉??梢韵胍姡箩劸茝S里一定是現代工藝狀態的閃亮不銹鋼設備。壓榨機是輕力的充氣式,不銹鋼大缸也都具有溫度控制裝置。如果要用木桶,所用的橡木桶是新的或用過一次的。
酒莊酒(OUR WINES)